.
| 最 新 情 報 (釣果情報・お知らせ・おねがい) |
・・・お願い・・・ いつもくさべ渡船をご利用いただきありがとうございます この度、2025年9月1日(月)より 施設使用料として お車1台につき300円をいただくことになりました お客さまにはご負担お掛け致しますが 何卒ご理解とご協力をお願い申し上げます 開始日:2025年9月1日(月) 料金:駐車場代(1台)300円 |
・・・電話番号変更のお知らせ・・・ 2025年9月1日(月)より 電話番号を変更させていただきます 新・電話番号・・・070−5433−3939 *ご面倒で恐縮ですが、電話番号のお控えなど、 ご訂正くださいますようお願いします |
2025年12月 休業日 |
・・・ご案内・・・ 12月の受付時間と出船時間 |
||
平日受付手順 @くさべ渡船の駐車場に 駐車お願いします A駐車された方から受付小屋にて 乗船手続きをお済ませください (3:20に開きます) B手続き終了された方から 荷物を持ってご乗船ください C1番船は4:00に出船します *(〜3:50までにご乗船ください) D2番船は5:00に出船します *(〜4:45までにご乗船ください) |
土・日・祝日の受付手順 @くさべ渡船の駐車場に 駐車お願いします A駐車された方から受付小屋にて 乗船手続きをお済ませください (3:15に開きます) B手続き終了された方から 荷物を持ってご乗船ください C1番船は4:00に出船します *(〜3:50までにご乗船ください) D2番船は5:00に出船します *(〜4:45までにご乗船ください) |
|
12月 「昼からの渡し」のご案内 土曜日の昼から夕方までの釣行 時間・・・11:30→17:00 *平日の昼からの釣行をご希望のお客さまは お電話にてご予約お願いします(2人以上で受付)
|
・・・「通し便」のお知らせ・・・ 通し便・通常 金・土曜日のみとさせていただきます (11:30・17:00〜翌5時) *平日は2人さま以上で予約お受けいたします お電話でご予約お願いします рO70−5433−3939
させていただくことがあります |
・・・半夜のお知らせ・・・ (11:30・17:00〜21:30) *平日は2人さま以上で予約 お受けいたします
させていただくことがあります |
| ・・・ お知らせ・・・ 2023年9月13日(水)より受付小屋の場所が変わります 同じ敷地内ですが少し南側に移設しております 下の写真を参考にお越しくださいませ *駐車場は今まで通りですが「青い階段」がありませんので 西側のスロープを通り「移動」をお願い致します ご迷惑お掛け致しますがよろしくお願いしますm(__)m |
||
| (旧)受付小屋 | 移設後の受付小屋(赤丸)・船 | 新・受付場所 (つりぶねかどのさんのお隣です) |
![]() |
||
| (旧)受付小屋 | 仮設の階段で受付小屋へ | |
| →受付小屋・駐車場@Aへ | →受付小屋・駐車場A | 受付小屋・ 駐車場A |
![]() |
||
| 駐車場A | 緑のポールから南側(駐車場@) | 駐車場@ |
![]() |
||
| 受付小屋から船着き場へ | 黄色の丸・位置→赤丸のところへ移設 | |
・・・おねがい・・・ 渡船ご利用時は必ず「ライフジャケット」の 着用をお願いします *お持ちでない方は「貸出」もしておりますので 受付時にお申込みください(無料) 小型船舶において H30年2月1日からライフジャケットの着用が 完全義務化になりました *個人でご購入の際は「国土交通省承認の桜マーク」のある 「ライフジャケット」を購入されるのをお願いします(^-^) |

ケーソン投げ釣り





脈釣り


紀州釣り・落とし込み 投げ釣り・ふかせ釣り| テトラタンク前(常夜灯付近)・・・沖より撮影 | タンク前(常夜灯点灯時) |
![]() |
![]() |
| パイプライン (写真は橋間さん提供) |
パイプラインライト 点灯時 (橋間さん提供) |
![]() ![]() テトラ・西・一番奥の船着き場 (小林さん提供) |
|
| ☆新鮮なエサ屋さんご紹介♪ 「卸し」専門で営業されていましたが 最近は小売も始められたそうです(明石・二見) |
|
![]() |
![]() |
| (株)かんさいベイトさん | |
駐車場@を ご利用のお客さまはこちらに |
駐車場Aをご利用のお客さまはこちらに |
| 「駐車場ステッカー」はこの「かご」にお戻しください(^^) | |
| 先日撮影されたフッシングマックスさんの動画が アップされました! 【衝撃】シーバスの聖地・凄まじい魚群が集う 難易度Sクラスの神ポイント 是非ご覧ください(*^^*) |
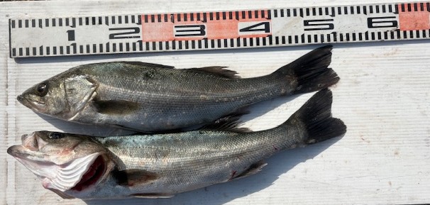
| 12月7日(日)の釣果 メバル 〜25cmも釣れていましたよ(*^^)v 本日もご乗船ありがとうございました(∩´∀`)∩ |
![]() |
| 入江さん エサ釣り コブダイ 〜52cm 2匹釣れました 今日は大物が釣れたと喜んで帰港されました( *´艸`) 新見さんもお目当てが釣れましたね(*^^)v |
|
![]() |
| 下原さん ノマセ釣り メジロ 67cm アジ 〜15cm 10匹 ガシラ 15cmが釣れました 今日はこの個体の回避があったんですかね(^^) 青物釣れてよかったです(^O^)/ |
![]() |
| 清水さん ノマセ釣り メジロ 約70cmが釣れました リベンジ成功!! メジロGETできてよかったですね(*^▽^*) |
![]() |
![]() |
| 通しの釣果 伊藤さん メッキアジ 〜30cm 9匹 アジ 〜18cm 50匹(写真は持ち帰り分) ガシラ 〜20cm 11匹釣れました 今日も長時間の釣行お疲れさまでした(*^▽^*) |
![]() |
![]() |
| 通しの釣果 塩野さん アコウ 〜50cm ガシラ 〜20cmが釣れました 良型の美味しいアコウが釣れましたね(*''▽'') |
| 12月6日(土)の釣果 |
![]() |
| 廣田さん ノマセ釣り メジロ 65cmが釣れました 良型のメジロが釣れましたね(*^^)v アジまだ釣れていますよ(^O^)/ |
| 藤原さん ルアー釣り シーバス 40cmが釣れました 朝マズメで綺麗なシーバスGET(*''▽'') |
| 12月3日(水)の釣果 |
| 姫田さん ノマセ釣り ヒラメ 約60cm 本人様、今季ラストの釣行で見事ヒラメ釣れました(*^^)v また来年もお待ちしております(´▽`*) |
| 三木さん ノマセ釣り ヒラメ 70cm こちらも肉厚なヒラメGETです(^O^)/ おめでとうございます( *´艸`) |
| 12月2日(火)の釣果 |
![]() |
| 西山さん ノマセ釣り メジロ 65cmが釣れました お久しぶりのケーソンで見事メジロGET(^O^)/ ジグにもあたりはありましたがバレてしまったそうです! またのご乗船お待ちしてますね(*^▽^*) |
| 11月30日(日)の釣果 通しのアジングは1投1匹 アジが釣れていました(^O^)/ |
|
![]() |
| 北芝さん・えいたくん メッキアジ 〜25cm アジ多数 ハモ 85cmが釣れました 今日は小学生のえいたくんとご一緒に釣行でした(^^♪ メッキアジやハモ釣れてよかったです(^O^)/ |
![]() |
| 柳楽さん ルアー釣り サゴシ 55cm アコウ 23cmが釣れました 狙い通り?のサゴシ釣れました お連れ様の松田さんも大物惜しかったです(>_<) |
![]() |
![]() |
| 小田さん ノマセ釣り シーバス 70cm超 ハモ 70cmが釣れました お久しぶりのケーソンでしたね!! 見事、良型シーバスGETできました(*^▽^*) |
| 通しの釣果 木村さん エサ釣り グレ 30cm メバル 22cm ガシラ 〜20cm(リリース有) ガシラたくさん釣れたそうです!! グレ・メバルも釣れてよかったですね(*^^)v 寒い中お疲れ様でした(∩´∀`)∩ |
| 11月29日(土)の釣果 昼からの釣行で 今日もチヌがよく釣れていましたよ(*^^)v |
![]() |
| 廣岡さん ルアー釣り サゴシ 50cmが釣れました ミノーでサゴシGETです(´▽`*) |
![]() |
| 田淵さん ノマセ釣り ヒラメ 51cmが釣れました ノマセでヒラメ釣れました!(^^)! ノマセのアジもよく釣れていますよ(^O^)/ |
| 戸田さん ノマセ釣り ヒラメ 57cmが釣れました 肉厚のヒラメが釣れましたね!(^^)! |
| 半夜便 小笠原さん ルアー釣り アコウ 40cmが釣れました 狙い通りのアコウ釣れました(*^^)v 喜んで帰っていただけて良かったです( *´艸`) |
| 半夜便 荒木さん メバル 〜22cm ガシラ 〜20cm アジ 多数 アジよく釣れてました!! メバルはこれからに期待ですね(*'▽') お連れ様もコウイカとアジ釣られてました(*^^)v |
| |
|
| 半夜便 高橋さん ルアー釣り ハマチ 55cm アジ 多数 夕まずめで狙い通りの青物釣れてよかったです(*^▽^*) |
|
| 11月27日(木)の釣果 |
![]() |
| 毛谷さんご夫婦 ノマセ釣り メジロ 63cmが釣れました 今日は旦那さんがメジロGETです(´▽`*) |
![]() |
| ポイント播磨店 店長の松下さん ルアー釣り チヌ 43cm アコウ 32cm メバル 22cm ガシラ 24cmが釣れました ルアーでメバル釣れました(*^^)v アコウもまだ狙えますね(*^▽^*) |
| 陣内さん ノマセ釣り サメ! ご自身の身長と同じぐらいのサメが釣れて ビックリしましたね( *´艸`) |
| 11月24日(月)の釣果 |
![]() |
| 河野さん ノマセ釣り ヒラメ 45cm ノマセでヒラメ釣れました(´▽`*) |
| 藤原さん ショアジギング サゴシ 〜55cm 2匹釣れました メタルジグでサゴシ釣れました!! ナブラもあったそうです(*^^)v |
| 丸尾さん メッキアジ 23cm 1匹 サゴシ 50cm 1匹 コブダイ 55cm 1匹 大きなコブダイが釣れましたね(^O^)/ |
![]() |
![]() |
| 田邊さん・今津さん・木村さん メッキアジ 〜23cm 5匹 セイゴ 〜25cm 3匹 ソイ 25cm 1匹 ガシラ 〜18cm 5匹釣れました 色んな魚種が釣れていい釣果になりましたね!(^^)! 毎回楽しい写真ありがとうございます(*'▽') |
| |
|
| 通しの釣果 中西さん アオリイカ 〜19cm 5杯 アジ 〜15cm 50匹 ガシラ 〜22cm 12匹 シーバス 〜39cm 2匹 チャリコ 17cm 1匹釣れました アジは1投1匹でアオリイカも釣れました(*^▽^*) |
| 11月23日(日)の釣果 |
![]() |
![]() |
| チーム日高さん ハモ コブダイ カワハギ アジ ベラが釣れました 魚種豊富な釣果になりましたね(*^▽^*) |
|
![]() |
| 鷲尾さん ハマチ 〜47cm 2匹釣れました 今日も狙い通りの青物釣れました!(^^)! 毎回安打ですね( *´艸`) |
| 勝田さん ノマセ釣り チヌ 48cm ノマセでチヌ釣れました(´▽`*) |
| 通しの釣果 ノマセ釣り 伊藤さん ヒラメ 65cmが釣れました 体高の良いヒラメが釣れました(^O^)/ 豪華な夕飯になりますね(*^^)v |
| 11月22日(土)の釣果 午後からの釣行 落とし込みでチヌがよく釣れていました(^^♪ |
![]() |
![]() |
| 藤原さん エサ釣り ガシラ 〜20cm 50匹以上釣れました たくさんのガシラが釣れて満足釣果になりましたね(^O^)/ |
|
![]() |
| 河野さん アコウ 45cmが釣れました 体高の良いアコウが釣れましたね!(^^)! ノマセのアジもよく釣れてました(*^^)v |
| 藤原さん ルアー釣り シーバス 〜55cm ルアーで良型シーバス釣れました(*^▽^*) |
| Kさん ノマセ釣り ハマチ 43cm メジロ 68cmが釣れました 狙い通り青物釣れてよかったです(^^♪ 奥さんにお土産できましたね(*'▽') |
| 11月21日(金)の釣果 |
| 戸田さん ノマセ釣りでヒラメ釣れました 青物バラシ惜しかったですね(>_<) |
| 11月20日(木)の釣果 |
![]() |
![]() |
| 河野さん ノマセ釣り チヌ 45cm ハマチ 43cmが釣れました ノマセで青物とチヌ釣れました!! チヌが釣れるの珍しいですね(´▽`*) |
![]() |
| K.Pさん ハマチ 45cmが釣れました 狙い通りの青物GETできて良かったです(*^^)v |
![]() |
| 米澤さん サゴシ 55cmが釣れました 今日もサゴシ釣れてます(^o^)丿 |
![]() |
![]() |
| A.Nさん ノマセ釣り ハモ 90cm シーバス 70cmが釣れました ノマセ釣りで見事シーバスGET(*^^)v |
![]() |
| 山崎さん ノマセ釣り ハマチ 50cmが釣れました 今回も青物釣れましたね(*^^)v 大きなハモも釣れたそうです(*''▽'') |
![]() |
| 三木さん ハマチ 〜48cmが釣れました 今日はハマチ2匹釣れました!(^^)! 毎回安打ですね(*´▽`*) |
| 森田さん アオリイカ 15〜20cm 4杯釣れました アオリイカの数は減ってきていますが、サイズUPしてます(^O^)/ |
|
| 11月19日(水)の釣果 ノマセ釣りのアジ よく釣れています(^O^)/ |
![]() |
| 井根さん ノマセ釣り ハマチ 〜47cm 2匹釣れました 狙い通り青物釣れました!(^^)! ノマセでキビレも釣れたそうです(*'▽') |
![]() |
| 恒木さん ノマセ釣り・ショアジギング ハマチ 52cm サワラ 82cmが釣れました ジグでハマチ、ノマセでサワラが釣れました(*^^)v |
![]() |
| 山根さん ハマチ 47cmが釣れました 狙い通りの青物釣れてよかったです(*´▽`*) |
![]() |
| 得永さん ノマセ釣り ハマチ 約50cmが釣れました アジも十分確保でき、見事青物釣れました(^^♪ |
| |
| |
|
| |
|
| 三島さん ノマセ釣り ハマチ 45cm メジロ 66cm ブリ 85cmが釣れました 狙い通りのブリが釣れました!! コバンザメはブリと一緒に上がってきたそうです(^^)/ 3年連続のブリGETおめでとうございます(*''▽'') |
|
| 11月18日(火)の釣果 |
![]() |
| Mさん ハマチ43cmが釣れました 今日も見事青物GETです(^O^)/ |
| 11月16日(日)の釣果 |
![]() |
| 田中さん サゴシ 57cmが釣れました 今日はルアー釣りで参戦!! 見事サゴシが釣れました(^O^)/ |
![]() |
| 西村さん ノマセ釣り サワラ 85cmが釣れました ノマセでサワラ釣れました(*^^)v まさかのサワラでご本人もビックリされてました( *´艸`) |
![]() |
| 鷲尾さん ノマセ釣り ハマチ 47cm エサ釣り アコウ 〜40cm 2匹 ガシラ 〜20cm 3匹釣れました 狙いの青物とエサ釣りで良型アコウが釣れました!(^^)! いい釣果になりましたね(^^♪ |
![]() |
| 岡田さん サゴシ 〜53cm 2匹釣れました サゴシ2匹釣れてよかったです(*'▽') |
![]() |
| 山根さん ハマチ 〜48cm 3匹 ノマセ釣りで1匹、ルアーで2匹GETです(*^▽^*) |
| |
|
|
| |
|
|
| 森川さん・平松さん 通しの釣果 アジ 〜25cm 100匹以上 シーバス 50cm 1匹 ガシラ 〜20cm 20匹以上 アコウ 35cm 1匹釣れました お久しぶりのケーソン!! アコウはラスト1投で釣れたそうです(*''▽'') アジもよく釣れてますね!(^^)! |
||
| 11月15日(土)の釣果 |
![]() |
![]() |
| 中島さん シーバス 約70cm ハマチ 48cmが釣れました 良型シーバスとハマチGETできてよかったです(*^▽^*) |
|
![]() |
| 田原さん ショアジギング サゴシ 〜53cm 2匹釣れました サゴシの他にも ハマチのダブルヒットがあり釣れたそうです! レアですね( *´艸`) |
![]() |
| 盛重さん ノマセ釣り ヒラメ 〜67cm 2匹釣れました ショアジギング サゴシ 55cm 1匹釣れました 肉厚のヒラメが2匹も釣れてすごいです!! 今日の夕飯は豪華になりますね(´▽`*) |
| |
||
| |
|
|
| 中西さん 通し便 アオリイカ 〜20cm 13杯 アジ 〜16cm 60匹(リリース込) メバル 〜21cm 2匹 ガシラ 〜22cm 6匹 セイゴ 〜20cm 3匹 キビレ 20cm 1匹釣れました アオリイカ、サイズUPしてきました(^O^)/ 常夜灯でもメバルが釣れ始めましたね!! アジは1投1匹ペースでした(*^^)v |
| 11月14日(金)の釣果 |
![]() |
![]() |
| 土井さん ルアー ハマチ 43cm サゴシ 50cmが釣れました ハマチと狙い通りのサゴシGETできましたね!(^^)!!(^^)! |
![]() |
| 小笹さん ルアー サゴシ 49cmが釣れました 初めてのケーソンで 見事狙い通りのサゴシ釣れてよかったです(^O^)/ |
![]() |
![]() |
| 藤田さん ノマセ釣り ヒラメ 65cm ブリ(処理済) 85cmが釣れました ブリにヒラメ、最高の釣果になりましたね(*''▽'') ブリとの格闘おつかれさまでした!! |
![]() |
| 藤田さん ノマセ釣り メジロ 68cmが釣れました 網が壊れるハプニングありましたが メジロ抜き上げれてよかったです( *´艸`) |
| 11月13日(木)の釣果 |
![]() |
| 毛谷さんfamily ノマセ釣り メジロ 約70cmが釣れました 前回に続いて今日もメジロ釣れました(*´▽`*) また次回お待ちしております(^^♪ |
| 11月12日(水)の釣果 |
![]() |
| 陣内さん ジギング メジロ 66cmが釣れました ジグでメジロGETです(^O^)/ |
![]() |
| 竹内さん カワハギ・ウマズラハギ 〜23cm 4匹釣れました 美味しそうな肝パンのカワハギが釣れました(*'▽') |
| 11月11日(火)の釣果 |
![]() |
| 三木さん ノマセ釣り メジロ 64cmが釣れました 前回に続いて今日も青物GETです(*^▽^*) |
![]() |
| 松田さん アオリイカ 〜約20cm 2杯 カワハギ・ウマズラ 〜23cm 5匹釣れました 良型のアオリイカとカワハギ釣れましたね(^o^)丿 |
| 11月9日(日)の釣果 写真の他にも シーバス・ツバスなどが釣れていました!! 本日は雨の中ご乗船ありがとうございました(^O^) |
![]() |
![]() |
| 鷲尾さん ノマセ釣り ヒラメ 65cm ハマチ 53cmが釣れました 狙い通りの青物と良型のヒラメが釣れましたね(^O^)/ |
![]() |
| 盛重さん ノマセ釣り ハモ 約80cmが釣れました 美味しいハモが釣れてよかったです(*'▽') |
| 松井さん カワハギ・ウマズラハギ 〜23cm 8匹 コブダイ 〜28cm 3匹 ハマチ(ルアー) 〜45cm 2匹が釣れました 今日も良い釣果になりましたね(^^)/ さすがです(∩´∀`)∩ |
![]() |
| 通しの釣果 西村さん・伊東さん アオリイカ 〜23cm 約10杯 良型サイズのみ写真撮らせていただきました(^_-)-☆ |
11月8日(土)の釣果 超高級魚の千年鯛が釣れました! ケーソン「初」です! |
| エサ釣り 塩野さん 45cmの千年鯛 ヨコシマフエダイが2匹釣れました ご本人さまもビックリの釣果! カワハギ釣りのエサ、シラサエビに掛かったそうです ケーソンで初めて上がってます。すごいですね(^O^)/ |
| ノマセ釣り 北芝さん 58cmのヒラメが釣れました エイが掛かったと思いもう少しでラインを切るところだったそうです 大きなヒラメが上がり良かったです!(^^)! |
| ノマセ釣り 鋪田さん 65cmのメジロ・20cmまでのアジが釣れました 良く超えたメジロ上がりましたね 大き目のアジも釣れてます(*^-^*) |
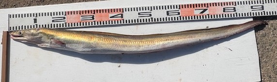
| 投げ釣り 黒崎さん 65cmのメジロ ガシラ・キビレが釣れています 今回のメジロはなんと投げ釣りで上がったそうです! エサはマムシ・途中で切れなくて良かったですね(*^^)v |
| ノマセ釣り 逸民さん 68cmのメジロが釣れました 久しぶりのケーソンで見事メジロgetです(*^^)v |
| シーバスディゲーム 藤原さん 55cmのシーバスが釣れました シーバス、いい感じに上がりました(*^^)v |
| ノマセ釣り 宮本さん 45cmのハマチが釣れました アジもたくさん釣れて良かったです!(^^)! |
西村さん 49cmのハマチが釣れました リベンジ成功しましたね(^^♪ |
| 末松さん親子 19〜21cmのウマズラハギが5匹 15〜16cmのガシラ2匹・アジ・アイゴが釣れました 朝早くから頑張って釣りに来てくれました! 美味しいお魚釣れて良かったね(^o^)丿 |
|
| カワハギ釣り 武田さん 17cmと22cmのカワハギ2匹 19cmのウマヅラハギ・20cmのガシラが釣れました 本命のお魚だけお持ち帰りです(^^)/ |
| 11月7日(金)の釣果 |
![]() |
![]() |
| 毛谷ご夫婦 メジロ 〜66cm(解体後)2匹釣れました 今日はお二人ともメジロGET! おめでとうございます(*´▽`*) |
![]() |
| 三木さん ノマセ釣り メジロ 66cm(解体後)が釣れました 前回は大きなハモ、今回は狙い通り青物釣れてよかったです(*^^)v |
| 三島さん ノマセ釣り メジロ 69cmが釣れました 体高の良いメジロが釣れましたね(*''▽'') |
| 11月5日(水)の釣果 |
| ポイント播磨店 山崎さん メジロ 68cmが釣れました 前回のサゴシ2匹に続き 今回も釣ってくれました(^O^)/ 体高の良いメジロですね( *´艸`) |
![]() |
![]() |
| 岡田さん ノマセ釣り ハマチ・メジロ 〜67cm カワハギ・ウマズラハギ 〜18cm 5匹釣れました ハマチにメジロ、満足な釣果になりましたね(*^-^*) |
![]() |
| 北芝さん ノマセ釣り ハマチ 46cmが釣れました リベンジ成功!! 次回お子様とご一緒にご乗船お待ちしてますね(*^▽^*) |
| 11月3日(月)の釣果 タチウオ何年かぶりの登場です! 今年はタチウオ狙えそうです!(^^)! |
| 中岡さん ルアー・ジグ メジロ 68cm 太刀魚 指3本 メジロGET!!(^O^)/ タチウオ久しぶりの登場です 素晴らしいです( ゚Д゚) |
|
![]() |
| 松井さん メッキアジ 〜23cm シーバス 37cmが釣れました メッキアジ登場! 2日連続のご乗船ありがとうございました (*''▽'') |
| 11月2日(日)の釣果 |
![]() |
| 瀧井さん ルアー釣り シーバス 67cmが釣れました ルアーで良型シーバス釣れました(*^▽^*) |
![]() |
| 宮内さん シーバス65cmが釣れました 綺麗なシーバスGETです(*''▽'') |
![]() |
| 鷲尾さん ノマセ釣り ハマチ 43cmが釣れました 狙い通り青物釣れましたね!(^^)! |
![]() |
| 西村さん ノマセ釣り シーバス 70cmが釣れました 今日1番のシーバス! サビキでアコウも釣られていましたよ(´▽`*) |
![]() |
![]() |
| 大嶋さん アオリイカ 〜18cm 3杯 サゴシ 52cmが釣れました アオリイカにサゴシ!良い釣果になりましたね(^_-)-☆ |
|
![]() |
| 市来さん カワハギ・ウマズラハギ 計10匹以上が釣れました 20cm超えのカワハギも釣れてました(^O^)/ |
![]() |
| けいすけさん アオリイカ 1杯 カワハギ・ウマズラハギ 計10匹以上釣れました 今日はウマズラハギがたくさん 浮いてきてましたね( *´艸`) |
![]() |
| 和田さん アオリイカ 〜18cm 4杯釣れました アオリイカのサイズ良くなってきました(*^^)v |
| 松井さん ハマチ 41cm グレ 27cm カワハギ・ウマズラ 〜17cm 20匹以上釣れました 満足釣果になりましたね(^_-)-☆ |
| 11月1日(土)の釣果 |
![]() |
| 長尾さん シーバス 〜約40cm 3匹釣れました セイゴサイズが多い中、見事ハネサイズ釣れましたね(*'▽') |
|
![]() |
| 田邊さん シーバス 〜約40cm 3匹 ツバス 25cmが釣れました 青物とシーバスGET出来てよかったです(*^▽^*) |
|
| 伊藤さん ノマセ釣り ハモ 約100cm コウイカ 20cm ノマセでイカが釣れました(^o^)丿 次回は青物ですね(*'▽') |
![]() |
| 中島さん ノマセ釣り メジロ 70cmが釣れました 今日は狙い通りの場所でメジロGET! 読みが当たりましたね( *´艸`) |
| 10月30日(木)の釣果 |
![]() |
| 藤原さん サゴシ 60cmが釣れました 今日はリベンジ出来てよかったですね( *´艸`) |
![]() |
| Tさん グレ 〜33cm 3匹釣れました グレ狙いで見事良型GET!(^^)! |
| 本村さん ウマズラハギ(処理済) 約50匹釣れました たくさん釣れてよかったです(*^▽^*) |
| 10月29日(水)の釣果 |
![]() |
| 甲斐さん・岡さん ハマチ 〜45cm 計3匹釣れました 狙い通り青物釣れましたね(*^▽^*) |
![]() |
| 小椋さん ノマセ釣り メジロ 65cmが釣れました 見事、体高の良いメジロGETです(^O^)/ |
![]() |
| 畑さん シーバス 70cm越えが釣れました ルアーで大きなシーバス上がりました!(^^)! |
![]() |
| 河野さん カワハギ 〜18cm 3匹 メッキアジ 20cmが釣れました カワハギまだまだ狙えますね(*'▽') |
| 10月28日(火)の釣果 |
![]() |
| 山村さん サワラ 76cmが釣れました ジグで見事サワラ釣れました(^O^)/ |
| 三木さん ハモ 110cm以上が釣れました ノマセ釣りで大きなハモ釣れました(*'▽') なかなかお目にかかれないサイズでビックリしました( *´艸`) |
|
| 10月26日(日)の釣果 |
| 河野さん シーバス 2匹釣れました 雨の中での釣行でしたがシーバス釣れました(*^▽^*) |
|
| 10月25日(土)の釣果 |
| 森さん ヒラメ 45cmが釣れました ケーソンで久しぶりのヒラメ釣れました(^_-)-☆ |

| 池田さん コウイカ 24cmが釣れました 美味しいコウイカ釣れてよかったです(^^)/ |
|
| 中岡さん コウイカ 15cmが釣れました コウイカ釣れだしましたね(^O^)/ |
| 前田さん ノマセ釣り シーバス 40cm ツバス 35cm その他、カワハギ7匹釣れました 大満足の釣果になりましたね(*'▽') |
| 濱田さん シーバス 50cmが釣れました 狙い通りシーバスGETですね(*^^)v |
| |
| 通しの釣果 エサ釣り 大津さん アコウ 〜38cm 2匹 グレ 28cm メバル 2匹 今回はメバルに良型アコウ釣れました(*^▽^*) |
| 通しの釣果 中西さん アオリイカ 〜15cm 17杯 アジ 〜15cm 30匹 今回もアオリイカにアジたくさん釣れましたね!(^^)!!(^^)! |
| 10月24日(金)の釣果 |
![]() |
| Tさん チヌ 40cm グレ 30cmが釣れました 今日もいいサイズのチヌが釣れましたね(^^)/ |
| 毛谷さんご夫婦 ノマセ釣り ハマチ 〜47cm 2匹釣れました お久しぶりのケーソン、見事青物get(*^^)v |
| 瀧井さん ハマチ 計4匹(リリース込) シーバス 1匹釣れました ハマチ4匹に良型シーバス!さすがですね(*''▽'') |
|
![]() |
| 椴山さん アオリイカ 〜23cm 3杯釣れました アオリイカ、サイズアップしてきましたね(^O^)/ |
| 10月23日(木)の釣果 今日もナブラはありましたが 単発が多かったですね(>_<) |
| 磯野さん ノマセ釣り ハマチ 45cm アジ 〜15cmが釣れました ノマセのアジも十分確保でき、青物GETです(*''▽'') |
|
| 竜田さん ノマセ釣り シーバス 68cmが釣れました 良型の綺麗なシーバス釣れましたね(*^▽^*) |
| 10月22日(水)の釣果 |
| 小林さん ハマチ 42cmが釣れました 終盤で青物釣れました(*^^)v |
| 大高さん 近藤さん ツバス・ハマチ 〜45cmが釣れました 青物を釣りたい情熱で見事お二人とも 2匹ずつ釣って頂けました(*´▽`*) |
| 通しの釣果 立花さん・坪井さん アジ 13〜15cm 約100匹釣れました お二人でアジ爆釣ですね(*'▽') 遠方からお越しいただきありがとうございました(^^)/ その他、アオリイカ 〜18cm 3杯 釣られている方もおられました( *´艸`) |
| 10月19日(日)の釣果 |
![]() |
| 奥田さん・福田さん ツバス・ハマチ 〜45cm 各2匹釣れました 前回に続いてお二人とも青物釣ってくれました(^_-)-☆ |
![]() |
| 小林さん ノマセ釣り ハマチ 45cm 1匹釣れました お久しぶりのケーソンでしたが見事青物釣ってくれましたよ(^^♪ |
![]() |
| りょうと君 ハマチ 43cm 1匹釣れました 中学生のりょうと君 ルアーで青物釣ってくれました(*^-^*) |
| 松本さん・加藤さん・石原さん 12時から17時の釣果 ハマチ 45cm 1匹釣れました その他、ジグサビキでアジ釣れてました(^^)/ |
| 濱田さん 通しの釣果 アオリイカ 〜15cm アナゴ 80cmが釣れました その他、アジも1投1匹釣れる時間帯もありましたよ(*'▽') 長時間お疲れ様でした(^O^)/ |
|
| 10月18日(土)の釣果 |
![]() |
| 米原さん カワハギ 〜15cm 2匹 ツバス 39cm 1匹 サゴシ 47cm 1匹釣れました ナブラは今日もあったみたいです(^_-)-☆ |
|
![]() |
| 西村さん親子 ノマセ釣り メジロ 61cm 1匹 ツバス 39cm 1匹 ダツ 75cm 1匹 アジ 〜15cm 多数釣れました ノマセ釣りで体高の良いメジロ釣れて良かったです☆彡 アジも十分釣れたそうです(^O^)/ |
![]() |
| 清水さん ツバス・ハマチ 〜43cm 各1匹釣れました 内向きと外向きで1匹ずつ釣れたみたいですよ(*'▽') |
| 通しの釣果 木村さん エサ取りが多い中、グレ・セイゴが釣れました(^^♪ |
| 10月17日(金)の釣果 |
![]() |
| 津崎さん ツバス・ハマチ 〜45cm 7匹 サゴシ 〜46cm 2匹釣れました 初ケーソンで青物たくさん釣って頂けてよかったです(*^^)v |
![]() |
| 奥田さん ツバス・ハマチ 〜45cm 6匹釣れました 今日は前回よりいい釣果になりましたね!(^^)! |
![]() |
| 山根さん シーバス 62cm ツバス 38cm アジ 〜15cm釣れました 狙い通りの青物と良型シーバスが釣れましたね(^_-)-☆ |
![]() |
| 福田さん アコウ 〜35cm 2匹 ツバス・ハマチ 〜45cm 3匹釣れました 今回も良型アコウ釣れてよかったです(*^-^*) |
| |
| 21時便〜の釣果 中村さん・竹内さん アオリイカ 〜20cm 4〜5杯釣れました アオリイカ、サイズUPしてきましたね(^O^)/ |
| 10月16日(木)の釣果 |
| 戸田さん ツバス 43cmが釣れました ノマセ釣りで上がってます(*'▽') |
| 今村さん ツバス 41cmが釣れました ジグで青物釣れてます!(^^)! |
| 10月15日(水)の釣果 アオリイカ6杯釣っている方も おられましたよ!(^^)! |
| 草刈さん ツバス 〜43cm 3匹釣れました 青物3本釣れてよかったです(^^♪ |
| 10月13日(月)の釣果 |
![]() |
![]() |
| 阪本さん ハマチ 40cm アオリイカ 14cmが釣れました 狙い通り青物とイカが釣れてよかったです(^^)/ |
|
![]() |
| 清水さん サゴシ45cmが釣れました サゴシGETです(*'▽') |
![]() |
| 池添さん セイゴ 〜33cm 3匹釣れました 元気に回遊してます(^^♪ |
![]() |
|
| 松井さん ハマチ43cm カワハギ 〜16cm 6匹釣れました 青物狙いながらカワハギgetですね(*^^)v |
|
| ナイトゲーム 中西さん アオリイカ 〜15cm 32杯(リリース有り) アジ 〜26cm 30匹 セイゴ 〜23cm 8匹 20cm越えのアジが釣れるように なってきましたね(*^^)v これからのアジングが 楽しみです(*'▽') |
| 10月12日(日)の釣果 メジロ釣れました! シーバスも調子いいです♪ メバルも登場です |
![]() |
| 半夜の釣果 末広さん ハモ92cmが釣れました まだまだハモが釣れますね(*^^*) |
| ナイトゲーム(エギング) 相宮さん アオリイカ〜15pが10杯釣れました 今回もアオリイカgetです(^^♪ |
![]() |
| 通しの釣果 大津さん 18〜23cmのメバル10匹釣れました 秋のメバル上がり始めましたね(^_-)-☆ |
![]() |
| ナイトゲーム 吉富さん チヌ 35cm 真鯛 43cmが釣れました いいサイズのマダイが釣れました |
![]() |
|
| 森垣さん メジロ 68cm サゴシ 47cmが釣れました 今シーズン「初」メジロ上がりました!(^^)! |
![]() |
| 山田さん カワハギ・アコウ・グレ・ガシラが釣れました 狙い通り良型アコウ釣れてよかったです!(^^)! |
| |
|
| 柳田さん シーバス 〜68cmが釣れました 写真はないですが多数釣れていました シーバスディゲーム楽しめましたね(^^♪ |
|
| 10月11日(土)の釣果 |
| ナイトゲーム 十河さん アオリイカ 7杯 〜15cm セイゴ 30cm アジ 〜13cmが二桁以上 ガシラ 〜20cmが釣れました アジは1投1匹で釣れたそうです 色んな魚が上がりましたね(*''▽'') |
|
| 油谷さん サゴシ40cmが釣れました 狙い通りサゴシ釣れてよかったです( *´艸`) |
| 藤原さん シーバス45〜55cmが2本 コチ42cmが釣れました 珍しいコチGETです(*^^)v |
|
| |
|
|
| 瀧井さん シーバス65cm 50cm ヒラ50cmが釣れました シーバス40cm以下は多数釣れてました サイズ・数ともにいい釣果になりましたね(*´▽`*) |
||
| 10月10日(金)の釣果 今日は良型のシーバスがよく釣れてました! |
| シーバスディゲーム 荒木さん シーバス60cmが釣れました |
| シーバスディゲーム 内藤さん シーバス65cmが釣れました |
| シーバスディゲーム 中西さん シーバス60cmが釣れました |
| 原さん シーバス64cm・アコウ1匹釣れました いい魚たちが上がりました!(^^)! |
|
| 長瀬さん シーバス50cmが釣れました お久しぶりのケーソンでしたね(^_-)-☆ |
| 10月9日(木)の釣果 |
| 田中さん ヒラ55cm釣れました 初ケーソン・楽しんでもらえてよかったです(*^^)v |
| 10月8日(水) の釣果 |
| |
| 星庵さん ツバス40cm釣れました 青物釣れてよかったですね(^^)/ |
| 10月5日(日)の釣果 |
| Fさん アコウ40p サゴシ41pが釣れました 良く肥えたアコウが上がりましたね!(^^)! |
| 清水さん 67pのシーバスが釣れました 大きなシーバス上がりました(*^^)v |
| シーバスディゲーム 濱田さん シーバス35p 他にヒラも釣れました 今シーズンもヒラが元気ですね(*^^*) |
10月4日(土)の釣果 青物いい感じです♪ アオリイカ他のお客さまも15杯 釣られてます |
| チヌ釣り 阿江さん チヌ2匹釣れました |
| 北山さん・岡崎さん・大永さん 39pのツバス 37pのマダイ 44pと45pのサゴシ2匹が釣れました 雨の中での釣行でしたが 狙いの青物が釣れて良かったです!(^^)! |
| 戸田さん 60pのヒラが釣れました ヒラの回遊があり、60p前後が良く釣れました |
| ナイトゲーム 中西さん アオリイカ〜15pまでが22杯(リリース込み) アジ〜16pが20匹 ガシラ〜22pが5匹・セイゴ〜21pが2匹釣れました 今回アジは1投1匹ペースで良く釣れたそうです 今回もいい釣果です(^^♪ |
|
10月3日(金)の釣果 |
| ショアジギング 奥田さん・福田さん 52pのサゴシ 30pのアコウ・24pのガシラが釣れました いい釣果が上がりましたね(^^♪ |
| 9月30日(火)の釣果 |
| 安田さん ツバス38pが釣れました 青物釣れて良かったですね!(^^)! |
| エギング 日野さん 〜15pのアオリイカが3杯 釣れました 今日はこの色のエギでしたね(^^♪ |
9月28日(日)の釣果 カワハギ登場♪ |
| ショアジギング・エギング 谷川さん夫妻 45pのサゴシ 〜15pまでのアオリイカが6杯 釣れました お二人仲良く狙い通りの アオリイカ・サゴシgetです(^O^)/ |
| 大西さん 16〜17pのカワハギが8匹 14〜15pのウマズラハギが2匹 20pのガシラ・30pのコブダイが 釣れました カワハギのいい釣果が上がりました!(^^)! |
Iさん 21pのアコウ 14〜20pのガシラ8匹 アジ10〜15pが5匹・アナゴ シマイサギが釣れました アジも少しずつ大きくなってますね アコウも釣れて良かったです(*^^*) |
| エギング(ナイトゲーム) 〜16pまでのアオリイカが10杯釣れました 二桁釣果♪ 釣れたばかりのアオリイカは透き通って綺麗です(^_-)-☆ |
|
9月27日(土)の釣果 アコウ狙えます♪ |
| シーバスディゲーム 藤原さん 51pのシーバスが上がりました これからが楽しみですね(*^^*) |
| 通しの釣果 木村さん 21pと30pのアコウ2匹 44pのチヌ・26pのコブダイ 18〜20pのガシラ7匹釣れました 今回もいい釣果になりましたね(*^^)v |
|
| 通しの釣果 宮脇さん 26pと27pのアコウ2匹 ガシラ20〜21pが4匹釣れました まだまだアコウ釣れますね!(^^)! |
通しの釣果 宮本さん 30pのコチとアジが釣れました」 肥えたコチが上がりました(^_-)-☆ |
9月26日(金)の釣果 |
| ショアジギング・エギング 得永さん 50p以上のヒラ1匹 アオリイカ16pが1杯釣れました サゴシもヒットしましたが残念ながらバラシてしまったそうです またリベンジお待ちしておりますね(*^^*) |
|
| 三木さん 38pのハネ 36pのキビレ アジ13匹以上釣れました アジも「数」釣れるようになりましたね(^^♪ |
シーバスディゲーム 浜田さん 35pのシーバスが釣れました 今日もシーバスgetです!(^^)! |
| ナイトゲーム 橋田さん・林さん 〜15pまでのアオリイカ2杯 シーバス〜45pまでが4本釣れました ナイトシーバスもいい感じです(^_-)-☆ |
9月25日(木)の釣果 アオリイカ好調♪ |
| ショアジギング 中川さん 40pのサゴシが釣れました 良かったですね(*^^)v |
| 西村さん 41pのアコウが釣れました 朝からの釣行でサイズの良い アコウが上がりました!(^^)! |
| エギング 春田さん アオリイカ〜15pまでが9杯 釣れています 狙い通り上がりましたね(*^^*) |
| エギング 日坂さん アオリイカ15pまでが21杯釣れました 今シーズンもいい感じですね(*^^)v |
|
9月24日(水)の釣果 アオリイカ好調♪ サゴシの回遊も多く、良く当たってます! |
| エギング 松田さん親子 アオリイカ〜20pまでが11杯 ベラ2匹釣れました アオリイカもサイズアップしてますね いい釣果です(*^^*) |
||
9月23日(火)の釣果 青物本格的になってきてます♪ |
| ショアジギング 瀧井さん 40p前後のツバス全部で5本 釣れました 青物いい感じになってきましたね(*^^*) |
| ショアジギング 清水さん親子 48pまでのサゴシ2本釣れました 息子さん、見事にサゴシを 釣ってくれました!(^^)! |
| ショアジギング・エギング 前田さん アオリイカ15p・サゴシ45p 43pのツバスが釣れました 狙い通りのイカと青物です(*^^)v |
| エギング(半夜) 谷川さん アオリイカ〜13pが6杯(リリース含む) 釣れました 狙い通りアオリイカ上がりましたね(^^♪ |
|
| エギング(半夜) 田中さん アオリイカ15pが1杯 セイゴ30pが釣れました エギング楽しめましたね(*^^*) |
|
9月22日(月)の釣果 アオリイカ好調♪ |
| エギング 山田さん 〜15pまでのアオリイカ リリース込みで11杯釣れました 半夜の短い時間帯でもアオリイカ 上がってます!(^^)! |
9月21日(日)の釣果 ついにケーソンに青物入って来ました! ナイトゲーム秋のメバルも釣れてます アコウはまだまだいい感じです♪ |
| ショアジギング 大西さん・皆木さん 40pのツバス 40pのサゴシが2本釣れました 今シーズン「初」の青物getです! やりましたね!(^^)! |
| 通しの釣果 山田さん アコウ21〜32pが3匹・15pのサンバソウ メバル21p・ガシラ〜20p5匹が釣れました アコウいい感じに上がりました♪ メバル・サンバソウはケーソン久しぶりに 上がってます(*^^*) |
9月20日(土)の釣果 アオリイカ好調になってきました! アジも「数」釣れてます。 ノマセ釣りが楽しくなってきました! ヒラも釣れています |
| Kisukeさん チヌ1匹 アコウ1匹釣れました 今回はアコウと狙いのチヌが上がりました! 良かったですね(*^^*) |
|
| ナイトゲーム 中西さん アオリイカ〜16pが32杯 アジ〜14pが6匹 ガシラ〜25pが9匹 アコウ40pが釣れました アオリイカいきなり爆釣ですね! 大満足な釣果になりました(^O^)/ |
9月15日(月)の釣果 アオリイカ釣れました♪ |
| エギング 森田さん 20p前後のアオリイカ3杯 釣れました 秋のシーズン 初のアオリイカです! これからが楽しみですね(*^^)v |
| シーバスディゲーム 浜田さん 48pのシーバスが釣れました 久しぶりのディゲームで シーバスgetです(*^^*) |
9月14日(日)の釣果 |
| フカセ釣り 木多さん 45pのチヌが釣れました 体高のあるチヌ上がりました(^O^)/ |
| 藤原さん 27pのアコウ 40pのコチが釣れました 最近はケーソンでも釣れるのが珍しい コチが上がりました!サイズもいいですね(*^^*) |
|
| 入江さん 45pのチヌ・22pのガシラが釣れました 大きなチヌgetにご本人さまも ビックリされたそうです(^_-)-☆ |
| 通しの釣果 木村さん 43pのチヌ・38pのハネ ガシラが釣れました エサ取りに苦戦されながらも大きなチヌが 上がりました!(^^)! |
| ナイトゲーム 伊藤さん 100pのハモ 〜20pまでのガシラ4匹 アジ10〜12pが20匹以上 釣れています 久しぶりに大きなハモが 上がりました(*^^)v |
|
9月13日(土)の釣果 |
| チヌ釣り 阿江さん チヌ6匹・コブダイが釣れました 今回も安定の釣果でした♪ 良型が上がってます! 暑い中、お疲れさまです ありがとうございました(^O^)/ |
9月7日(日)の釣果 |
| チヌ釣り 37pのチヌが釣れました 初ケーソンで見事チヌgetです! これからもいっぱい 釣ってくださいね(*^^*) |
kisukeさん 44pのアコウが釣れました 狙っていた魚は釣れなかったそうですが 代わりに良型のアコウが上がりました(*^^)v |
| 通しの釣果 田中さん親子 71pのシーバス ガシラ20pまでが14匹・コブダイ アジが釣れました 暑い中、長時間お疲れさまでした! 大きなシーバスが上がり良かったですね!(^^)! |
|
| ナイトゲーム 西村さん・伊藤さん 23〜26pのアコウが5匹・32pのキビレ ガシラ〜21pまでが25匹・アジが30匹ほど釣れました 狙い通りにアコウが釣れました♪ アジ・ガシラも「数」上がってます(^O^)/ |
|
9月6日(土)の釣果 9月に入っても暑い日が続いてますが 海の中は「秋」に近づいています♪ |
| エサ釣り 坂本さん 20〜21pのガシラが7匹 釣れました 良型ガシラが上がりました♪ 美味しくいただきますね ありがとうございます(*^^*) |
チヌ釣り 武本さん 38pのチヌが釣れました 他にヒラやアジも釣れています まだまだ暑いですが熱中症対策して お越しくださいね♪ お待ちしております(*^^)v |
9月4日(木)の釣果 アジングでアジが好調に釣れています! |
| ナイトゲーム 迫さんグループ アコウ・シーバス・ガシラ 10〜14pのアジ30匹・23pのアジも釣れました 雨がパラパラ降る中での釣行になりましたが 色んな魚種が釣れて良かったです♪サイズの良いアジも混じりました! ありがとうございました(*^^*) |
|
8月31日(日)の釣果 |
| フカセ釣り 木多さん 40〜45pのチヌが4匹釣れました 型揃いのチヌですね(*^^*) |
| 通しの釣果 宮脇さん 20〜28pのアコウ4匹 ガシラ19〜20pのガシラ13匹 37pのキビレが釣れました アコウもガシラもいいサイズです(*^^*) |
|
| 通しの釣果 木村さん・足立さん 30pと35pのアコウ2匹 43pのチヌ・ガシラ17〜22pのガシラ12匹釣れました 良く肥えたアコウとチヌ上がりました!(^^)! |
|
| ナイトゲーム 伊藤さん・伊東さん 27pと31pのアコウ2匹 ガシラ16〜21pが14匹 アジ〜14pまでのアジが15匹釣れました 今回もアジが上がってます 少しずつサイズUPしてますね(^^♪ |
|
8月30日(土)の釣果 |
| 半夜の釣果 真野さん 35pと45pのチヌが2匹 釣れました 良型チヌが上がってます!(^^)! |
半夜の釣果 津田さん 24pのアコウ2匹釣れました 狙い通りにアコウが 上がり良かったです(*^^*) |
| 阿江さん(〜17時まで) チヌ4匹・アコウが釣れました 今回はアコウも混じりましたね(^^♪ |
| シーバスディゲーム 藤原さん 67pのシーバスが釣れました いいサイズのシーバスの回遊・始まりましたね(^O^)/ |
| フカセ釣り 高田さん 35pのチヌが釣れました 潮が動かなく厳しかったそうです そんな中でのチヌget! さすがです(*^^*) |
坂本さん ガシラ20p以上が8匹 釣れました 型の良いガシラが上がってます(^^♪ |
8月26日(火)の釣果 |
| 冨田さん 38pのチヌ 15pのサバが釣れています いいチヌが上がりましたね(*^^*) |
| 中平さん親子 ガシラ14〜20pが15匹 釣れました 暑い中、頑張って お魚釣ってくれましたね! ピース(*^^)v |
8月24日(日)の釣果 今シーズン・アジの回遊始まりましたね! |
| ナイトゲーム 塩野さん・西村さん・伊東さん・伊藤さん 45pと66pのシーバス2本 アコウ20〜31pが全部で8匹 ガシラ15〜21pが34匹・42pのチヌ アジ13pまでが20匹以上釣れました ついにアジ登場ですね! アコウを始め好釣果が上がってます(^O^)/ |
|
| 通しの釣果 友永さん 30pのアコウ・28〜32pのセイゴが4匹 20pと21pのガシラ2匹・アナゴ4匹 アジ14pまでのアジが全部で30匹釣れました 今回は5種類の魚が上がりました(*^^*) |
|
8月23日(土)の釣果 チヌ好調♪ |
| 阿江さん チヌ7匹とグレが釣れました チヌが好調に上がりました(^^)v |
8月21日(水)の釣果 |
| フカセ釣り 戎さん 35〜43pのチヌが8匹釣れました 良型のチヌが「数」上がりましたね!(^^)! |
8月20日(火)の釣果 |
| シーバスディゲーム 瀧井さん 50pのシーバス3本 セイゴクラスは多数 ヒラ3匹釣れています 今シーズンもヒラ登場♪ ベイトもたくさん 入ってきているようです(^^)v |
8月13日(水)の釣果 |
| 藤原さん 39pのチヌが釣れました お久しぶりのケーソンで良型の チヌが上がりましたね(^O^)/ |
Tさん 40pのチヌ 37pのキビレ・25pのグレが 釣れました 良型のチヌにサイズの良いグレも 上がりました(*^^*) |
8月9日(土)の釣果 |
| シーバスディゲーム 瀧井さん 40〜50pのシーバスが2本釣れました 久しぶりにいいシーバス上がってます(^O^)/ |
|
| 通しの釣果 宮脇さん 25〜35pのアコウ2匹 ガシラ21pが2匹釣れました 狙いのアコウが上がりましたね!(^^)! |
8月5日(火)の釣果 |
| 半夜の釣果 旭さん 34pのチヌ 24pのアコウ ガシラ17〜20pが7匹 サバ20〜22pが4匹釣れました 今回は色んな魚が釣れました サバもサイズUPしてきましたね(*^^*) |
| 半夜の釣果 ポイント播磨店松下店長 29pのアコウが釣れました 今回も半夜でアコウgetです!(^^)! |
半夜の釣果 鈴木さん 27pのシーバス 19pのガシラ・20pのサバが釣れました ワームでヒットされました(^^♪ |
8月3日(日)の釣果 |
| ナイトゲーム 西村さん・伊東さん 25〜37pのアコウ3匹 ガシラ17〜21pが24匹釣れました 潮はあまりよくなかったそうですが アコウ・ガシラといい釣果になりましたね アジングで少しだけアジ上がってます(^O^)/ |
|
| ナイトゲーム 高橋さん 46.5pのアコウ釣れました サイズの良いアコウ上がりました!(^^)! |
ナイトゲーム 旭さん 38pのアコウが釣れました 狙い通りアコウget(*^^*) |
7月30日(水)の釣果 |
| シーバスナイトゲーム 林さん 40pのシーバス釣れました 久しぶりのナイトゲームでしたね(*^^*) |
7月27日(日)の釣果 |
| ナイトゲーム 塩野さん 21〜35pのアコウ5匹 15〜20pのガシラ9匹釣れました 今回はアコウ狙い♪ 全部ワームでヒットしてます(^O^)/ |
| ナイトゲーム 出雲さん 42pのアコウ 62pのコブダイが釣れました 狙い通りにアコウが上がりましたね♪ どちらともいいサイズです(*^^)v |
|
| 通しの釣果 木村さん 25pのアコウ・40pのチヌ 25pのグレ・16pのメバル 15〜20pのガシラが 13匹釣れました 今回は魚種豊富な釣果に なりましたね(*^^*) |
通しの釣果 伊藤さん 28pのアコウ 41p・42pのチヌ2匹釣れました 良型チヌ上がりましたね!(^^)! |
7月26日(土)の釣果 |
| フカセ釣り 高田さん 48.5pまでのチヌ5匹 釣れました 食いが浅い中今回も 良型チヌ上がりました!(^^)! |
| エサ釣り 入江さん 66pのコブダイ釣れました 手作りのエサで大きなコブダイgetです(^O^)/ |
|
| Tさん 41〜43pのチヌ4匹釣れました 良型のチヌが上がりました(*^^)v |
7月25日(金)の釣果 |
| 小西さん 26pアコウ 32pのシーバスが釣れました 狙い通りにアコウが 上がり良かったです(*^^*) |
7月24日(木)の釣果 |
| フカセ釣り 戎さん 35〜45pのチヌ・キビレが5匹 24pのベラが釣れました 良型のチヌが上がりました! ベラも身がたっぷりありますね(*^^*) |
|
7月23日(水)の釣果 マダイ釣れました |
| 米原さん 24pのマダイ 16pのキス ベラ19〜22pが4匹釣れました 朝からもマダイ上がりましたね(*^^*) |
7月20日(日)の釣果 チヌ好調♪ |
| フカセ釣り 高田さん 〜48pまでのチヌが5匹釣れました 型揃いのチヌが上がりましたね(^^)v |
| 通しの釣果 鋪田さん 38pのアコウ 50pのチヌが釣れました 狙い通りにアコウが釣れ 満足釣果になりましたね!(^^)! |
| ナイトゲーム 高田さん 22〜34pのアコウ4匹 ガシラ17〜20pが 10匹釣れました 今回もワームでアコウが 上がってます(^O^)/ |
通しの釣果 26〜48pのアナゴが10本 17pのメバル・20pまでのガシラ7匹 80pのハモが釣れました 久しぶりにいいサイズのアナゴが 混じりましたね(^^♪ |
| 通しの釣果 吉冨さん・宇野さん 40pと42pのチヌ2匹・アコウ26p メバル20〜26pが3匹 20pのガシラが釣れました サイズの良いメバル・チヌが 上がりました(^^♪ |
ナイトゲーム 出雲さん・岩元さん 41pのチヌ 41pのシーバスが釣れました ワームで大きなチヌが ヒットしてます(*^^*) |
7月19日(土)の釣果 |
| 阿江さん 今シーズンもチヌ5匹・コブダイ7匹と 好調に釣れています(^^)v |
|
7月13日(日)の釣果 夜釣りアコウ好調♪ 真夏はナイトゲームがお薦めです(^^)v |
![]() |
| 通しの釣果 古江さん 45pと35pのアコウ2匹釣れました 青ムシをエサに 良く肥えたアコウが上がりました(*^^*) |
![]() |
| エギング 西岡さん 胴長27pのモンゴウイカが釣れました 外海が潮が速く今回は 内向きで大きなモンゴウイカ 上げてくれました!(^^)! |
| シーバスナイトゲーム 浜田さん 40pと47pのシーバス全部で4本ヒット! お久しぶりのケーソン♪ 今回のシーバスは口を使ってくれず 手強かったですね(^_-)-☆ |
|
![]() |
|
| ナイトゲーム 高田さん アコウ25〜32pが3匹・42pのチヌ ガシラ14〜20pが8匹釣れました 釣果は全部ワームで釣れています。 大きなチヌもワームで上がりました(^O^)/ |
|
![]() |
| ナイトゲーム 出雲さん・岩本さん 30pと31pのアコウが2匹 釣れました こちらのアコウもワームで 上がりました(^^♪ |
|
|
![]() |
![]() |
| ナイトゲーム 西村さん・伊東さん・伊藤さん 36pのアコウ・44pのチヌ ガシラ15〜21pが32匹釣れました ケーソンの際をずっと攻めての釣果です♪ その仕掛けにチヌもヒットしました(*^^)v |
|
7月12日(土)の釣果 アコウ好調♪ |
| 半夜の釣果 こうたさん 21〜32pのアコウが7匹釣れました アコウ好調に上がりましたね♪ お見事です(^^)v |
| ナイトゲーム 旭さん・高橋さん・平村さん 47.5pと35pのアコウ2匹釣れました 大きなアコウが上がりましたね! いい釣果です!(^^)! |
|
7月9日(水)の釣果 今日も暑い中お疲れさまでした |
| キス釣り 米田さん 12〜18pが20匹釣れました 今回のキスは近投で釣れたそうです(*^^)v |
| 山本さん 65pのコブダイが釣れました 夏のコブダイは貫禄ありますね!(^^)! |
7月6日(日)の釣果 シーバスナイトゲーム・シーバスが絶好調♪ ボイルが多いです |
![]() |
| 通しの釣果 黒川さん メバル16〜21pが15匹 お持ち帰りです 今回も石ゴカイでメバル全部で27匹 釣れています(^O^)/ |
![]() |
![]() |
| 通しの釣果 木村さん マダイ42p・チヌ38p・23pのメバル 28pと29pのアコウ2匹 ガシラ14〜22pが14匹釣れました 青ムシをエサにマダイ・チヌ・アコウも上がり 今週もいい釣果になりました(*^^)v |
|
| 7月5日(土)の釣果 |
| エサ釣り 内海さん・翔太郎くん・南さん 19〜35pのコブダイ5匹 18〜21pのベラ5匹・キス13〜15pが7匹 ガシラ13〜19pが9匹釣れました 久しぶりにケーソンに遊びに来てくれました♪ 色んな魚が上がりましたね(*^^*) |
|
![]() |
![]() |
| ナイトゲーム 23〜34pのアコウが3匹 ガシラ15〜20pが11匹釣れました 全部ワームで上がってます!(^^)! |
|
| 通しの釣果 相宮さん 19〜21pのキスが40匹 56pのシーバスが釣れました 型が揃ったキスが好調に上がりましたね(*^^)v |
|
| ナイトゲーム 中西さん 20pと26pのアコウ2匹 メバル〜23pが3匹 〜21pのガシラが 13匹釣れました ロックフィッシュ いい感じです(^_-)-☆ |
| 7月4日(金)の釣果 |
![]() |
![]() |
![]() |
| 半夜の釣果 (シーバスナイトゲーム) 植さん・山アさん 今日はベイトが多くボイルもたくさんあったそうです♪ フィーバータイムありのナイトゲーム!楽しめましたね(^O^)/ |
||
| 長瀬さん アジ15〜20p サバ20pが釣れました 久しぶりにサイズの良いアジが上がりました♪ 最近サバの回遊も多いですね(^O^)/ |
7月1日(火)の釣果 シーバス50pが2本釣れています |
| キス釣り 米田さん 12〜21pのキスが27匹釣れました 今回は「数」が上がりいい釣果です(^O^)/ |
| ・・・お知らせ・・・ 「本荘ケーソンで撮影されました メジャークラフト広瀬さんの 「ヒロセマンのショアジギ道場Rvol.15」が 配信されています。是非ご覧くださいね
https://vish.jp/episode/15170/ 撮影分も合わせてご覧ください(*^^*) 「ヒロセマンのショアジギ道場R vol.9」 |
ケーソンにお越しくださいました 「BlueBlue ブルーブルー(株)の 松本秀治さん・星さん」の 動画が出来上がりました♪ 短時間勝負ながらも しっかりシーバスキャッチされてます! 「関西シーバス」ブローウィンジャーキングメソッドの パイオニアが初場所チャレンジ https://youtu.be/-FhrokG1Q6w 是非ご覧くださいね(^O^)/ |